The Secrets of Prof. Verschure's Rosetta Stones

Click For Summary

Discussion Overview

This thread discusses the collection and analysis of geological samples, specifically focusing on thin sections obtained from Prof. Rob Verschure's research. Participants explore the microstructural and mesoscopic features of various rock types, including explosion breccias, carbonatites, and gneisses, while sharing personal insights and photographic documentation of their findings.

Discussion Character

  • Exploratory
  • Technical explanation
  • Conceptual clarification
  • Debate/contested
  • Experimental/applied

Main Points Raised

  • One participant describes their acquisition of thin sections related to Prof. Verschure's work, highlighting the significance of these samples as a "Rosetta stone" for understanding various geological phenomena.
  • Another participant notes the visual appeal of mesoscopic structures in rocks, emphasizing the importance of labeling samples for better identification during imaging.
  • A participant presents a specific sample classified as a "Tveitan carbonatized damtjernite-like explosion breccia," detailing its composition and characteristics, while referencing a paper that attempts to explain the origin of certain features.
  • Discussion includes a comparison of personal images with published figures from Verschure's work, with emphasis on learning geological observation techniques and the significance of color in mineral identification.
  • A participant shares insights on a sample classified as "sheared gneiss," discussing its unusual features and attempting to calculate the pressure required for quartz deformation, while expressing uncertainty about their results.
  • Questions are raised regarding the appearance of grain boundaries in feldspar compared to quartz, with a request for references on grain deformation and recrystallization processes.

Areas of Agreement / Disagreement

Participants express individual observations and interpretations of geological samples, but there is no consensus on specific geological processes or the implications of their findings. The discussion remains exploratory and open-ended.

Contextual Notes

Participants acknowledge limitations in their understanding of geological processes and the complexities involved in interpreting microstructural features. There are references to unresolved calculations and the need for further research on specific topics.

Who May Find This Useful

This discussion may be of interest to geology enthusiasts, students studying petrology, and researchers exploring the characteristics of various rock types and their formation processes.

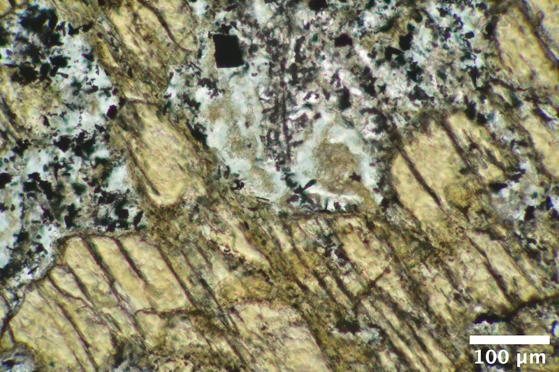
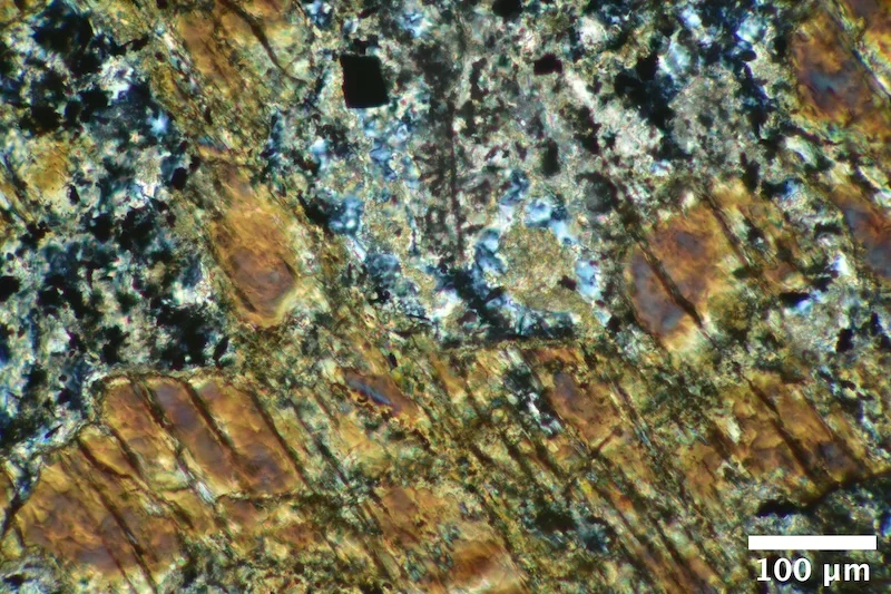
  • #121
The next fenitized gneiss example:

DSC_2030.webp


Fenitized gneiss. I’m not sure what feature was marked in blue pen- I didn’t observe anything unusual in that region. This sample is weak F1 and moderate F2, so alterations preferentially show effects of F2. This second metasomatic event is much less well defined (both in terms of originating fluid(s) and succession of mineral growth) as compared to F1. For example, whereas the source material for F1 is known (fluids and volatiles driven by the ijolite intrusion), the source material(s) driving F2 is unknown and may actually consist of successive pulses of fluids, each with differing metasomatic chemistries.

A later paper (https://www.cambridge.org/core/jour...implications/00AA1631F359FD10A73327CB7BEEB65F) subdivides the Fenitization-2 metasomatic event into discrete fenitization events. “Verschure and Maijer (1984) have distinguished between two metasomatic events in the fenite aureole, the first (here called A1) producing acmite or sodic amphibole, the second (A2) forming stilpnomelane at the expense of these minerals. A third, later metasomatic event of aureole extent (A3), was caused by interaction between rocks and groundwater-derived hydrothermal fluids infiltrating the eastern part of the complex, leading to oxidation of ferrocarbonatite to hematite carbonatite, locally known as 'Rødberg', i.e. 'red-rock’.”

Fenitization-2 (meaning both A2 and A3) is a hydrothermal process resulting in the replacement of Fenitization-1 minerals, primary gneiss minerals, and also minerals of the Fen Complex (Ijolites and carbonatites). Fenitization-2 produced low-temperature crystallization of hydrous minerals (Na-amphiboles, new greenish biotite, new chlorite, sericite and stilpnomelane), carbonates, quartz and opaque minerals. Fenitization-2 minerals are fine grained and seldom exceed 10% of the total rock volume.

Montage.webp


DSC_1048.webp


DSC_1049.webp


These images show “Biotite replaced during Fenitization-2 by radiating needles of bluish Na-amphibole [A2], subsequently partially replaced by fine- grained magnetite and hematite. [A3] The replacement occurred where biotite was in contact with quartz. Other biotites within the same sample appear unaffected or completely replaced. The sample was taken 1750 m south of the Fen Complex, far outside the zone of Fenitization–1. Location of the sample: HSP post M00059, Økonomisk Kart Foreløpig Utgave 1971 (BW 020-5-1) coordinates: 138965-51753. “

Montage 2.webp


Montage 3.webp



DSC_3079.webp


DSC_3080.webp


DSC_3077.webp


DSC_3078.webp


Because fenitization is so variable, there's a lot of samples to work through. While the next several samples are examples of F2 (meaning both A2 and A3), there is another whole set of fenitization examples formed at the contact between intrusion and existing wall-rock (so-called "contact fenitization" and denoted C1 through C4), with the majority of contact fenitization occurring in carbonatites.

Lots to learn! #thinsectionthursday
 
Earth sciences news on Phys.org
  • #122
Here's another example of a 'pulaskitic fenite', one that exemplifies the type:

MA 68.webp


Strongly Fenitized-2 Pulaskitic fenite sample from the Håtveittjørn Section, located 10m from contact between country rock and the Fen Complex. Classified as a strongly Fenitized-2 (low temperature hydration-carbonation, F2) fenite; acc Ap; F2 Op veins; 2% stilpnomelane in veins; 88% mesoperthite, 2% F2 Sphene, 2% sericite. Perthite unmixing texture in orthoclase grains with discrete albite rims (co-oriented albitization of K-feldspar). 2% F2 biotite, 2% F2 carbonate.

DSC_9366.webp


DSC_9367.webp


Below is F2 titanite (high relief, high backscatter), stilpnomelane (brown fibrous appearance) and feldspar:

Montage2.webp


Here is stilpnomelane, magnetite, and feldspar
Montage4.webp


The albitized K-feldspar is quite photogenic: this is within the region outlined in blue marker:

Montage3.webp


Montage.webp


‘Pulaskitic’ means this rock is classified as a nepheline-bearing syenite composed of alkali feldspar (perthite) and nepheline (altered to sericite). Interestingly, unlike the previous examples of F1 gneisses shown before, in MA 68 the replacement of K-feldspar with albite is co-oriented rather than hetero-oriented. Hetero-oriented replacement occurs at grain boundaries between two minerals, while co-oriented replacement takes place inside the replaced mineral, a difference attributed to “intense sodium metasomatism”. F2 minerals include stilpnomelane, sericite, F2 carbonate and F2 titanite.

Perthite inclusions in sericite (altered nepheline?) do not show albitization, biotite inclusions altered to chlorite?

Montage5.webp


Veinlet of chloritoid (high relief, grey-green color, low birefringence)?

DSC_8859.webp


DSC_8861.webp
 
  • Agree
Likes   Reactions: Bystander
  • #123
Here are 2 thin sections (presumably) from the same rock:

Fen 34 ii.webp


Fen 34 v.webp


Fenitized Gneiss. Prof. Verschure classified this sample as weakly fenitized-1 (1% by volume) and moderately fenitized-2 (10% by volume). According to Andersen, this sample seems to exhibit A3 metasomatism rather than A2 metasomatism, evidenced both by the metasomatic replacements Albite + microcline + quartz + biotite + hornblende to Quartz + calcite + albite + chlorite + hematite and the lack of Na-amphibole.

Montage.webp


Montage2.webp


Much of the primary gneiss remains intact- anhedral grains of quartz and plagioclase comprise about 50% of the rock volume, with primary perthite and additional 30%. What may have been vein-like aggregates of Na-pyroxene have been replaced by palimpsestic magnetite, calcite (possibly ferrocarbonatite), and quartz.

DSC_7928.webp


DSC_7929.webp


DSC_7930.webp


This sample presents one of the difficulties challenging easy understanding of the Fen complex geology: while veinlets of aegirine (Na-pyroxene) aggregates are characteristic of strong F1 metasomatism, there is significant primary gneiss present and almost a complete lack of K-feldspar albitization, a metasomatic alteration which is definitively characteristic of even weak F1 metasomatism.

Biotite has been completely replaced by chlorite and magnetite, and where primary biotite was in contact with quartz, an inner corona of (I think) diagenic quartz and outer halo of chlorite/opaques now exists.

Montage3.webp


DSC_7931.webp


DSC_7932.webp


Vershure reports that the biotite -> chlorite pseudomorph occurred pre-fenitization while the chlorite halos are F2 chlorite. That paper also claims that some opaques are associated with the primary gneiss but have been completely altered via F2 metasomatism, in addition to 3% post-F2 opaques. I am not sure if these claims are consistent with Andersen’s paper or not.
 
  • #124
Another sample classified as fenitized gneiss:

Fen 45.webp


Fenitized Gneiss. Prof. Verschure classified this sample as weakly fenitized-1 (1%) and moderately fenitized-2 (9%). However, according to Andersen, this sample seems to be A3 rather than A2, evidenced by the metasomatism Albite + microcline + quartz + biotite + hornblende to Quartz + calcite + albite + chlorite + hematite. Zircon is present as an accessory. Primary gneiss is nearly equal amounts of quartz, perthite, and plagioclase, and a prominent vein consisting of quartz, calcite, and bundles of needlelike opaques intrudes.

Montage.webp


Montage2.webp


DSC_3056.webp


DSC_3057.webp


DSC_3058.webp


Biotite altered to chlorite with opaques and, where in contact with quartz, a halo of opaques and (possibly) hornblende. Also in the image: grain of zircon, K-feldspar with sericite inclusions.

DSC_3068.webp


DSC_3069.webp


Lastly, a grain of what was likely horneblende and a grain of either epidote or fenitized titanite (it's hard to tell the difference):

Montage3.webp
 
  • #125
Yet more fenitized gneiss:

Fen 44 b.webp


These gneisses are not the most photogenic of samples; I keep reminding myself that characterizing the samples is also an educational process... anyhow:

Fenitized Gneiss. Prof. Verschure classified this sample as weakly fenitized-1 (2%, primarily chessboard albite) and strongly fenitized-2 (11%).

DSC_2496.webp


DSC_2497.webp


DSC_3321.webp


DSC_3323.webp


However, according to Andersen, this sample seems to be A3 rather than A2, evidenced by the metasomatism Albite + microcline + quartz + biotite + hornblende to Quartz + calcite + albite + chlorite + hematite.

DSC_2500.webp


DSC_2501.webp


DSC_2504.webp


DSC_2505.webp


The presumption is that original biotite/hornblende altered to aegirine during the Fenitization-1 event, and during the fenitization-2 process, the aegirine altered into chlorite, carbonate minerals, and metal oxides (opaques).

Montage.webp
 
  • #126
Now the samples are more strongly fenitized and are also more photogenic:

Fen 234.webp


Fenitized gneiss. This sample was been classified as having strong fenitization-1 and moderate fenitization-2. Strongly fenitized-1 rocks contain clear, euhedral alkali feldspar crystals forming a matrix of chessboard albite and microcline without preferred orientation. This sample’s fenitization-1 minerals (chessboard albite and aegirine, 20% and 10% of rock volume, respectively) comprise 30% of the total rock volume and occur as bands separating grains of the primary gneiss, sometimes referred to as a "mortar texture":

DSC_9749.webp


DSC_9750.webp


DSC_9751.webp


DSC_9752.webp

Strong Fenitization–1 is characterized by a major reduction in the amount, or nearly complete disappearance, of primary quartz and primary microcline perthite and the (nearly) complete disappearance of primary plagioclase. Of the primary gneiss minerals, plagioclase alone shows a significant reduction in volume (10% final volume). Na-pyroxene now occurs entirely as irregular aggregates. Fenitization-2 minerals comprise 2% of the rock volume: opaques (1%) and arfvedsonite (1%). Titanate is present (1% volume), likely fenitzation-2 altered.

Here, a grain of feldspar shows Carlsbad twinning:

DSC_9068.webp


DSC_9069.webp


Montage.webp


DSC_0065.webp


DSC_0066.webp
 
  • #127
More fenitized gneiss samples:

Fen 237.webp


Fenitized gneiss. This sample was been classified as having strong fenitization-1 and moderate fenitization-2. Strongly fenitized-1 rocks contain clear, euhedral alkali feldspar crystals forming a matrix of chessboard albite and microcline without preferred orientation. This sample’s fenitization-1 minerals (chessboard albite and aegirine, 30% and 5% of rock volume, respectively) comprise 35% of the total rock volume. In this sample, strong Fenitization–1 is characterized by a major reduction in the amount of primary quartz, primary microcline perthite and primary plagioclase (60% final volume).

DSC_1879.webp


DSC_1880.webp


DSC_1881.webp


DSC_1882.webp


In places, the K-feldspar is heavily sericitized. Na-pyroxene (aegirine) now occurs entirely as veinlets formed of irregular aggregates. Fenitization-2 minerals comprise 5% of the rock volume: opaques (2%) and stilpnomelane (3%).

DSC_1894.webp


DSC_1896.webp


Titanate and sericite are present as accessory minerals. The anhedral grains of titanite (presumably) show evidence of metasomatic alteration.

DSC_1892.webp


DSC_1893.webp


Lastly, an inclusion (unknown mineral) inducing stress birefringence in the host grain (K-feldspar):

Montage.webp
 
  • Agree
Likes   Reactions: Bystander
  • #128
Coming up on the end of Fenite samples, only a few more to go:

Fen 239.webp


Fenitized gneiss. This sample was been classified as having strong fenitization-1 and moderate fenitization-2. Strongly fenitized-1 rocks contain clear, euhedral alkali feldspar crystals forming a matrix of chessboard albite and microcline without preferred orientation. Apparent breccia zones (most likely formed during metasomatic events), some containing stilpnomelane.

Montage2.webp


Montage3.webp


DSC_0068.webp


DSC_0070.webp


This sample’s fenitization-1 minerals are exclusively chessboard albite (co-oriented albitized K-feldpsar) comprising 53% of the total rock volume.

DSC_0075.webp


DSC_0077.webp

In this sample, strong Fenitization–1 is characterized by the complete replacement of primary quartz, accompanied by significant reductions in primary microcline perthite and primary plagioclase (40% final volume). Fenitization-2 minerals comprise 6% of the rock volume: opaques (3%), F2 chlorite (2%) and stilpnomelane (1%). Titanate and sericite are present as accessory minerals. The largely cryptocrystalline grains of titanite (presumably) shows evidence of metasomatic alteration.

DSC_0071.webp


DSC_0072.webp


The boundary between a breccia zone and country rock is quite sharp:

Montage.webp


#thinsectionthursday
 
  • #129
I think this will be the final example of Fenite:

Fen 236.webp


Fenitized gneiss. This sample was been classified as having strong fenitization-1 (45% rock volume) and strong fenitization-2 (15% rock volume). Strongly fenitized-1 rocks contain clear, euhedral alkali feldspar crystals forming a matrix of chessboard albite and microcline without preferred orientation.

Montage8.webp


Montage9.webp


Montage1.webp


This sample’s fenitization-1 minerals are chessboard albite and aegirine, (40% and 5% of rock volume, respectively). Aegirine now occurs entirely as acicular aggregates, either fibrous or radiating. In addition, the quartz appears to have undergone 'dynamic recrystallization', as evidenced by the lobate grain boundaries:

Montage5.webp


Montage3.webp


Montage4.webp


Fenitization-2 minerals include opaques (2%), arfvedsonite (4%) and fenitized carbonate (9%). Here is an image showing partial transformation of Na-pyroxene (aegirine) to Na-amphibole (arfvedsonite):

Montage7.webp


The carbonate occurs as a vein, consisting of aggregated anhedral grains, possibly indicating a post-emplacement metasomatic event (in the paper, the carbonate is categorized as fenitization-2).

Montage6.webp


Montage2.webp


The carbonatite itself, as part of the Fen complex ijolite intrusion, providing the fluids driving the fenitization-1 event. So, I think the next few samples will be carbonatites. Stay tuned!
 
  • Like
Likes   Reactions: Bystander
  • #130
Moving on from Fenites, I have several samples of carbonatites- the source magma for fenitization. Carbonatites are still the subject of active research, and I confess I'm way out of my depth. But, the optical properties of carbonates make the samples fairly photogenic. Here's the first one:

Fen 2 b.webp


Carbonatite. It is currently thought that this material is mantle-derived (possibly from the deep mantle) and is uncontaminated by country rock. Carbonatite magmas have physical properties very different from silica magmas- carbonatite magmas are highly conductive and have very low (by comparison) viscosities- honey is more viscous, actually. While this is an igneous rock and carbonate occupies at least 95% of the rock volume, the texture is reminiscent of augen gneiss- a metamorphic texture. Augen (from German word for "eyes") are lenticular mineral grains or mineral aggregates surrounded by a finer-grained matrix. Augen form by growth of a mantle on a porphyroblast with preferential growth occurring in low stress regions in the pressure shadow.

Montage.webp


The optical properties of carbonates are fun to explore. One example is 'twinkling': in PP, the sample's relief changes under sample rotation:

DSC_0647.webp


DSC_0648.webp


The birefringence is so high that interference colors can appear even in PP images- if you look closely, you can find them in most of the images.

Of note, apatite grains in carbonatite are nearly always anhedral, often an elongated oval shape, and generally occur as aggregates. This is nothing like how apatite appears in other host rocks:

DSC_0650.webp


DSC_0651.webp


Unfortunately, optically there is no way to definitively determine if the carbonatite is calcio-, magnesio- or ferro-carbonatite. The preponderance of inclusions (‘dusty’ appearance) may be hematite and thus indicative of ferrocarbonatite.

DSC_0652.webp


DSC_0653.webp


It's unclear what these inclusions are:

DSC_0654.webp


DSC_0655.webp
 
  • #131
A second example of a carbonatite:

Fen 2.webp


Carbonatite. The literature on carbonatites is generally too advanced for me (for now), so I will simply quote some relevant sentences from a recent review (Annu. Rev. Earth Planet. Sci. 2022. 50:261–93) that may be open source:
“Carbonatites are igneous rocks formed in the crust by fractional crystallization of carbonate-rich parental melts that are mostly mantle derived. […]Their emplacement into the crust is usually accompanied by fenitization, alkali metasomatism of wallrock caused by fluids expelled from the crystallizing carbonatite. […], carbonatite melts can coexist immiscibly with carbonated silicate melts. […] Carbonatite melts continuously evolve by fractionating calcite, apatite, and dolomite, leading to concentration of other incompatible components such as alkalis, halides, and sulfate ± H2O.”

While this is an igneous rock and carbonate occupies at least 95% of the rock volume, the texture is again reminiscent of augen gneiss- a metamorphic texture. Augen (from German word for "eyes") are lenticular mineral grains or mineral aggregates surrounded by a finer-grained matrix.

DSC_5200.webp


DSC_5201.webp


Unfortunately, optically there is no way to definitively determine if the carbonatite is calcio-, magnesio- or ferro-carbonatite. Apatite present as loose aggregrates of anhedral grains (a peculiar crystal habit characteristic of carbonatites), and the presence of stilpnomelane may indicate a ferrocarbonatite.

DSC_6612.webp


DSC_6613.webp


DSC_6616.webp


DSC_6617.webp


The high birefringence and optical index of carbonates accentuates optical properties, for example the effect of condenser numerical aperture on the depth of field. First pair is using a low NA condenser (NA 0.3, IIRC) and the second a high-NA condenser (0.9, IIRC); both images using the same 16X 0.35 NA objective lens

Montage 2.webp


Montage.webp


Opaques are likely magnetite and pyrite.

DSC_6622.webp
 
  • #132
Fen 3.webp


Carbonatite, from the Fen complex. This sample has a significant amount of apatite, generally arranged in radiating aggregations of elongated anhedral grains. While most grains of apatite are characteristically anhedral, there are some large well-developed euhedral crystals.

DSC_5981.webp


DSC_5982.webp


DSC_6624.webp


DSC_6625.webp


Montage3.webp

Biotite has possibly been fenitized, a phenomenon (carbonatite-on-carbonatite crime, so to speak) I am starting to recognize in other carbonatite samples. Apparently, cabonatite magma is quite chemically active, with respect to silicate magmas.

DSC_6626.webp


DSC_6627.webp


In PP images, high-order interference colors may be generated by twin lamellae (2 closely spaced twin planes), some have constant color while others have a hue that varies (see below). While interference colors are usually associated with viewing through crossed polarizers, carbonates have such large optical constants that interference colors can appear even when using a single polarizer. Below, on the left is an image with only the analyzer inserted, while on the right is the view with only the (lower) polarizer inserted.

Montage4.webp


I don’t (yet) fully understand the mechanism that produces this optical effect because it is somewhat complex and based on optical anisotropy. In the left image, randomly polarized light (from the lightbulb) approximating plane waves first passes through birefringent carbonate (this sample may be magnesio-carbonate, based on the altered biotite) with the optical indicatrix in a given orientation with respect to the optical axis of the microscope. Then the light successively encounters two closely spaced planar interfaces (the twin lamellae), each interface characterized by discontinuous change to the orientation of the optical indicatrix, with the second interface returning the optical indicatrix to the original orientation. This (somehow) induces a phase difference between the two polarization states. The light then passes through a linear polarizer and interference colors are produced. On the right, linearly polarized light passes through the sample without encountering the analyzer.

While (I think) I understand how birefringence leads to interference colors between crossed polarizers, I’m not sure how interference colors can sometimes be visualized with a single polarizer. I may have to just calculate the Mueller matrix and obtain the resultant Stokes vector, something I am not in a hurry to do.

On a side note, the optical phenomenon of 'twinkling' behaves the same way: with no polarizers, there is no twinke. With just the analyzer, there is twinkle. With just the polarizer, there is twinkle.

In any case, Here's an image showing crystal defects surrounding a small inclusion (unidentified mineral):

Montage.webp
 
  • Agree
Likes   Reactions: Bystander
  • #133
Fen 3 b.webp


Carbonatite, Fen Complex. This sample has a significant amount of apatite, generally arranged either in aggregations of elongated anhedral grains or larger isolated subhedral crystals.

DSC_7979.webp


DSC_7980.webp


Montage3.webp

Minor amount of altered phlogopite, which generally occurs as medium-to-large, isolated crystals:

DSC_7981.webp


DSC_7982.webp


Montage4.webp


Unclear what the ovoid (Poikilitic texture, but unclear either on the inclusions or surrounding melanocratic microgranular material.

I’ve mentioned that (for me) learning carbonatite petrology is hard because carbonatite geology is still an active area of research. For help, I recently turned to Notebook LM. Notebook LM, if you are unfamiliar, is an AI chatbot that lets me use peer-reviewed sources as training data, a constraint that (I hope) prevents/reduces AI hallucinations. I uploaded several primary sources, review articles, PhD dissertations, and textbooks about carbonatites and the Fen complex specifically, and posed questions that would typically result in links to peer-reviewed references, for example:

What process causes phlogopite to alter into a fine-grained aggregate of carbonatite?

I can't make sense of the articles google sends me, but I can upload them into Notebook LM, which gave me this:

The alteration of phlogopite to an aggregate including calcite is described in the context of the C4 contact metasomatism in the Fen Complex:
• Process: The C4 process, associated with heterogeneous (pyroclastic) ferrocarbonatite (Group 4 carbonatite), induced pseudomorphic replacement of phlogopite. This process involves hydration and leaching of alkalis and CO2 from the rock.
• Starting Material: This alteration affects phlogopite phenocrysts (a mica closely related to biotite) set in a dolomite carbonatite matrix.
• Resulting Aggregate/Products: The phlogopite phenocrysts are transformed into an aggregate of chlorite, calcite, and quartz. The phlogopite crystals become disjoined along the basal cleavage, where lamellae of calcite have been formed.


This kind of output is enormously helpful (to me). There is still is the matter of fact-checking, which I confess I have not done. But, I present:

Montage2.webp


Montage.webp


For my next trick, I hope to better understand this optical phenomenon Interference colors generated by twin lamellae (in a carbonate):

DSC_7992.webp


Right now, the best I can figure is that it's the result of [very high interference order] - [very high, but slightly different, interference order] = 1st or 2nd order interference colors (I don't trust my eyes on this, tho).
 
  • Agree
Likes   Reactions: Bystander
  • #134
Another altered carbonatite:

Fen 16.webp


Altered carbonatite. A veinlet of carbonatite intrudes into an existing carbonatite pluton, bisecting a crystal of phlogopite.

Montage2.webp


Based on Notebook LM output, appearance seems to be a result C4 contact metasomatism. Here’s a (IMO) a pretty good analogy, courtesy Notebook LM:

"C4 metasomatism acts like a highly corrosive fluid, stripping the alkali elements (like potassium in the phlogopite) out of the parent rock. If typical fenitization is like soaking a sponge in salt water to enrich it with minerals, C4 metasomatism is like rinsing that sponge with acid, leaching the existing reactive minerals away and leaving behind only inert, hydrated secondary products like chlorite and quartz."

In addition, “When dyke-facies ferrocarbonatite veins intrude into a host sövite, the coarse-grained matrix calcite recrystallizes to grey, fine-grained calcite in the metasomatic zones. This recrystallized calcite often contains significantly higher Fe, Mg, and Mn content than the original matrix calcite and exhibits less intense cathodoluminescence.”

Phlogopite altered to chlorite and minor quartz with interstitial calcite aggregrates, surrounded by fine grained aggregates of calcite.

DSC_7949.webp


DSC_7950.webp


DSC_8889.webp


DSC_8890.webp


DSC_8884.webp


DSC_8886.webp


Montage3.webp


Interestingly, the calcite veinlet appears to contain a grain of clinopyroxene (based on the low-order interference color, cleavage angle, and high relief).

Montage.webp
 
  • Agree
Likes   Reactions: Bystander
  • #135
Carbonatite, Fen Complex.

Fen 25 b.webp
This sample could be classified as Alvikite, but the real interest I have is in the bands of color that sometimes appear in a grain under brightfield illumination (neither polarizer nor analyzer present).

DSC_8010.webp


Upon observation a low magnification (1x), twinkle is evident, sample is of otherwise more or less uniform grey color.

DSC_5219.webp


DSC_5220.webp


Twinkle is the name of the optical phenomenon that is observed when either a polarizer or analyzer is inserted into the optical path and as the sample rotates, the surface relief oscillates between very high positive and moderately negative: in high-relief position, the polarizing element is oriented parallel to the long diagonal of calcite rhomb, corresponding to light propagating through the calcite in a direction perpendicular to the c-axis and polarized parallel to the ordinary axis). This fact helps relate the orientation of the optical indicatrix relative to the ‘lab coordinate frame’ defined by the microscope’s optical axis.

At higher magnification (4x), observation without polarizer or analyzer occasionally shows individual grains, either isolated or loosely grouped, displaying bands of color. Observation of the grain with crossed polarizers often, but not always, show low-order interference colors characteristic of planar twin lamellae. And the reverse is also true- grains with low-order interference colors do not always display color banding using brightfield illumination conditions.

Montage.webp


Calcite crystallography is more complicated than I can handle (rhombohedral crystal group), and so the resultant optical effects are difficult (for me) to understand, but this is what I have so far.

Planar twin lamellae generate low-order interference colors by the following mechanism: when the sample is illuminated between crossed polarizers, upon entering birefringent calcite the illuminating plane wave (with for example, polarization |V>) is decomposed into an elliptical polarization state (basis states |e> and |o> corresponding to e- and o-rays). The orientation and ellipticity of this polarization ellipse will change as light propagates through the birefringent material, as |e> and |o> propagate at different velocities. Where the light encounters a planar twin, the basis states |e> and |o> are transformed into new basis states |e’>, |o’> according to the relative orientation of the twin’s optical axis, and this new elliptical polarization state evolves differently as compared to light not passing through the defect. Then, when light emerges from the defect, the basis states transform back to the (original) e- and o- rays, once again evolving as before. Compared to a neighboring ray that did not pass through the defect, the first ray now differs by a constant phase (of small magnitude), which is then visualized by inserting an analyzer in orientation |H>.

Now, here is a detail that was initially confusing- when viewing through crossed polarizers, the low-order interference colors are most intense when the grain is rotated to extinction. This is confusing because (according to Notebook LM) “Calcite does not have a single extinction angle; instead, it exhibits symmetrical extinction to its cleavage traces.” This means the grain appears dark when the relative orientation between the grain’s optical indicatrix and the optical axis of the microscope results in either the extraordinary or ordinary ray aligning with one of the microscope’s polarizers, which is equivalent to saying that grains oriented to show maximum twinkle will also be good candidates for high visibility of low-order interference colors. These relative orientations correspond to sections with maximum birefringence, and thus maximum ‘twinkle’. The presence of high-visibility planar twin lamellae low-order interference color patterns requires both close spacing of the defect planes and a particular orientation between the crystal c-axis and the polished face of the sample (in order to be able to bring the grain to extinction), both of which explains why the pattern is infrequently visible.

As the phase difference is small (because the defect is thin), the resulting interference color is low order. Notebook LM helpfully calculates: “To display only first-order interference colors, a slab of calcite (cut parallel to the optic axis, where birefringence is maximum) must have a thickness of approximately 3.21 micrometers (μm) or less”. I tried to verify the calculation myself: maximum birefringence for carbonates (calcite, dolomite, ankerite) cluster around 0.18. According to the Michel-Levy color chart, 1st order colors occur with thicknesses 3 microns and below (close enough to Notebook LM output). The three gray ones along the top (image above) have retardations between about 100 and 200 nm corresponding to physical thicknesses less than 1 micron.

However, bands of color viewable without polarizing elements are due to some other optical effect- and I am still not entirely sure which. The essential observation is that the color bands are visible without any polarizing elements inserted into the optical path. My two leading candidate mechanisms are either thin film interference (like soap bulbbles) or dispersion (the defect acts like a prism). However, there is also contrary evidence for both: thin-film interference is a reflection phenomenon and not a transmission phenomenon; and planar twins are just that- parallel surfaces, not wedge-forming structures. I suspect trying to solve this problem is going to drive me to distraction.

Additional observations:
  1. the appearance does not change when the sample is rotated in randomly polarized light (neither polarizer “P” nor analyzer “A” ).
    Montage2.webp
  2. Adding either P or A increases the color saturation in a polarization-dependent way. Evidence for this polarization dependence is appearance of the twinkle, and also knowing that the polarizer and analyzer are oriented 90 degrees with respect to each other. First image pair is polarizer-only, the second is analyzer-only)
    Montage4.webp
    Montage3.webp
  3. The colors do not appear to be interference colors. The colors seem to be spectral colors, although I can’t trust my eyes. It’s possible that the PP colors are complimentary to the XP colors.
    Montage5.webp
  4. An explanation why the polarizer-only images look ‘worse’ than the analyzer-only images. When the polarizer is inserted, both e- and o-polarizations are generated and neither can be filtered out by rotating the sample. When the analyzer is inserted, sample rotation permits either the e- or o- polarization states to be selected (twinkle is also evidence), maximizing the band visibility.
  5. The lower the illumination NA, the more saturated the color. This indicates that spatial coherence is a relevant factor, similar to off-axis thin film interference effects.

It’s confusing because thin film interference is typically associated with reflection. In this case, one ray would have to reflect 2x in order to interfere instead of 1x. That seems unlikely and even if it did occur, two reflections would generate a much weaker effect.

And one final WAG (Wild-A$$ Guess):

  1. Thin film eigenpolarizations are s- and p- states. s- and p-polarization states depend on the orientation of a partially reflecting interface relative to the propagation direction of incident light and are the red-headed bastard stepchildren of polarimetry. These can happen to align with crystal eigenpolarizations (e- and o- states) if the crystal is cut in a particular plane. This is potentially interesting, because p-polarization has a certain angle with 0% reflectance.

A final image, a 1:1 crop of the band viewed through XP. Surface relief aside, I'm not sure if what looks like interference fringes are, in fact, interference fringes:

DSC_8018.webp
 
  • Agree
Likes   Reactions: Bystander
  • #136
Fen 11.webp


Carbonatite, Fen complex. This sample displays a transition from, on one side carbonatite, then, moving from left to right, an apparent band of small crystals of phlogopite intermingling with a bluish amphibole (tabular habit), either riebeckite or arfvedsonite, and further from the carbonatite intrusion, (I think) a melanocratic mix of amphibole and opaques along the right.

Montage.webp


Montage2.webp


Montage5.webp


Montage4.webp


Montage6.webp


Numerous carbonatite veinlets transect the melanocratic side of the sample. The carbonatite intrusion drove a metasomatic reaction called ‘phlogopitization’:

“Phlogopitization is a post-formational process of Fen C2 metasomatism, specifically a form of potassium (K) metasomatism, characterized by the replacement of primary minerals by phlogopite. Phlogopitization is identified as a consequence of intense CO2 metasomatism (carbonatization), and is associated with potassium metasomatism. The metasomatic process involves the addition of K, and also P, Ca, CO2, and Na to the altered rocks. Phlogopitization is often linked to late-magmatic to hydrothermal stages, representing the interaction of rocks with aqueous solutions. These fluids may be derived from carbonatite magmas. The main modal effect of the C2 metasomatism process is the replacement of the feldspar phase(s) of the [Fenitization-1] fenite by phlogopite. The reaction suggests that K, Mg, CO2, and H2O combine with albite (Ab) to form phlogopite. Phlogopitization is typically accompanied by the simultaneous introduction of apatite, resulting in abundant apatite (10–20 volume per cent) in the final rock. Metasomatic apatite may be concentrated in phlogopite-rich bands, creating a vague banded texture. “

Montage3.webp


At further distance from the carbonatite, there is evidence of alteration of a melanocratic amphibole. The amphibole is rich in opaques, primarily well-separated minute anhedral grains (and dendritic aggregates) (possibly leucoxene?) and octahedral magnetite.

Next: tan amphibole altering into chlorite, opaques (likely leucoxene and magnetite), and some sort of crytpocrystalline olive-colored mineral (possibly phlogopite). “In pyroxenite, the first stage involves the crystallization of dark green phlogopite at the expense of calcic amphibole. The phlogopitization of pyroxene and amphibole is also characteristic of the formation of mica-amphibole rock. This process is seen as a network extending around the amphibole prisms, which are gradually replaced inwards”

DSC_1492.webp


DSC_1493.webp



DSC_1494.webp
 
  • Agree
Likes   Reactions: Bystander
  • #137
Carbonatite, Fen complex.

Fen 17.webp


The Fen Complex experienced pluri-metasomatic processes consisting of at least two main phases of metasomatic alteration (Fenitization-1 and Fenitization-2), which can be broken down into a detailed chronological sequence of seven events: three widespread aureole metasomatism events (A1, A2, A3) and four localized contact metasomatism events (C1, C2, C3, C4). In this sample, the upper portion consists of carbonatite with pronounced twinkle, while the lower section is primarily phlogopite- evidence of C2 metasomatism (see also Fen 11).

Montage2.webp


Montage4.webp


In addition to opaques, there is a minor amount of zircon.

Montage3.webp


Under high magnification, what appears to be melanocratic regions are revealed as aggregations of minute grains of (likely) carbonatite with optical properties best described as “cloudy ice”.

Montage5.webp


DSC_3583.webp


DSC_3584.webp


Montage.webp


In this image pair, 3 grains of (likely) zircon, calcite “groundmass”, and phlogopitized amphibole containing finely dispersed opaques.

DSC_3588.webp


DSC_3589.webp


Based on the lamellae of oxides within larger phlogopite crystals, this sample has experienced multiple metasomatic events- most likely C2, C4, and A3:

Prompt: "What conditions generate iron oxide lamellae in phlogopite crystals?"

“Inferred Iron Oxide Connection: Although the primary disjoining mineral [in altered phlogopite] is calcite lamellae, C4 is associated with fluids causing hydration and leaching of alkalis. Furthermore, secondary iron oxides (magnetite and hematite) frequently form as late products during the subsequent A3 post-magmatic alteration, often pseudomorphically replacing chlorite and other silicates. This context links the chlorite/calcite replacement and iron oxide precipitation to the same general low-temperature, highly oxidizing hydrothermal environment.”
 
  • Like
Likes   Reactions: Bystander
  • #138
Another carbonatite margin:

Fen 20.webp


Carbonatite, Fen complex. Right side is carbonatite; equigranular subhedral grains of calcite, massed cumulophyric grains of apatite within an aphanitic matrix, massed crystals of phlogopite (possibly indicating C2 metasomatism) displaying reaction rims/coronas (possibly calcite).

Montage.webp


Montage2.webp


DSC_7258.webp


Montage3.webp


Left side is an extremely melanocratic rock with a high volume fraction of finely dispersed opaques, primarily pyrite and magnetite. Epi-brightfield, while standard for highly metallic samples, is unsatisfactory for these thin section samples that have a coverslip. IMO, the most useful imaging method on this melanocratic side is epi-darkfield, as opposed to any transmission method.

Montage4.webp


This method of imaging reveals rounded phenocrysts of a melanocratic amphibole are present in a groundmass. the groundmass, such as there is, consists of a micro/cryptocrystalline mineral that is highly scattering, it could be an oxide like periclase (magnesium oxide) or leucoxene (titanium oxide).

DSC_7281.webp


DSC_7282.webp


DSC_7283.webp


Clipboard.webp


Calcite in contact with the magmatic component (left side) shows curved cleavage surfaces, possibly due to shear stress during solidification?
 
  • Agree
Likes   Reactions: Bystander
  • #139
I'm out of the office for a few weeks, so I have to reach into the back catalog for a few weeks:

Fen 21 b.webp


Juvite. Type locality: Juvet, Fen Complex, Telemark, Norway. A local name for a coarse-grained variety of nepheline syenite in which K-feldspar is more abundant than Na-feldspar (albite); sometimes used as a general term for potassic nepheline syenites.

With this sample, I have now identified 16 different rocks from Fen, 12 of which are type locality:

Fenite =Type locality: Fen Complex, Telemark, Norway.
Melteigite = Type locality: Melteig, Fen Complex, Telemark, Norway.
Vipetoite = Type locality: Vibeto, Fen Complex, Telemark, Norway.
Søvite = Type locality: Söve, Fen Complex, Telemark, Norway.
Ringite = Type locality: Ringsevja, Fen Complex, Telemark, Norway.
Rauhaugite = Type locality: Rauhaug, Fen Complex, Telemark, Norway.
Hollaite = Type locality: Holla Church, Fen Complex, Telemark, Norway.
Rødberg = Type locality: Fen Complex, Telemark, Norway.
Damtjernite = type locality: Damkjern, Fen Complex, Telemark, Norway.
Juvite = Type locality: Juvet, Fen Complex, Telemark, Norway.
Kamperite = Type locality: Kamperhoug, Fen Complex, Telemark, Norway.
Sannaite = Type locality: Sannavand, Fen Complex, Telemark, Norway.
Urtite
Ijolite
Alvikite
Tinguaite

99% of the igneous rocks in the earth’s crust are basalt/gabbro, granite, and granodiorite/diorite. The igneous rocks from Fen are highly peculiar: only 0.6% of igneous rocks are syenites and 0.3% are ultramafics, leaving less than 0.1% for everything else, including carbonatites.

DSC_0928.webp


DSC_0929.webp


There are aggregates of phlogopite flakes and a carbonate veinlet. Most the feldspar is either K-feldspar (dusty appearance in PP) or “chessboard albite”, possibly incipient perthic texture, Nepheline altered to muscovite/sericite.

Helpfully, “Chessboard albite is a specific variety of albite characterized by a unique twinning pattern that resembles a checkered or chessboard-like mosaic when viewed in thin section under a microscope. It is primarily a metasomatic product formed through the co-oriented replacement (albitization) of K-feldspar (microcline or orthoclase) by sodium-rich hydrothermal fluids. […] In different orientations, such as sections parallel to (010), the mineral may appear mottled rather than strictly checkered. […] In the Fen Complex, chessboard albite is a hallmark of metasomatism. During ‘moderate Fenitization-1,’ primary plagioclase and microcline in the country rock are replaced by fine-grained, clear aggregates of chessboard albite, a process sometimes called ‘matrix formation’ “.

DSC_0932.webp

DSC_0933.webp


DSC_0934.webp


DSC_0935.webp


DSC_0936.webp


DSC_0937.webp


Possible grain of zircon or anatase?
Montage.webp
 
  • Like
Likes   Reactions: OmCheeto
  • #140
Transition rock showing fenitized gneiss adjacent to chilled margin of carbonatite magmatic intrusion.

Fen 287.webp


DSC_1940.webp


DSC_1941.webp


Fenite. Type locality: Fen Complex, Telemark, Norway. The main minerals in the primary gneiss are sub- to anhedral grains of alkali feldspar, microcline, plagioclase, quartz, and a lack of biotite. Fenitization-1 minerals consists of aegirine, occuring as anhedral masses of columnar crystals, and grains of chessboard albite.

Montage2.webp


DSC_1958.webp


DSC_1959.webp


Montage5.webp


Regarding fenitization-2 minerals, a substantial amount of pyroxene has been altered into afrvedsonite, opaques, and carbonatite dispersed within the altered gneiss. The fenite would likely be characterized as strongly fenitized-1 and strongly fenitized -2, similar to samples 235 and 236.

Montage4.webp


Green pyroxene and blue arfvedsonite. Arfvedsonite often occurs as elongated columns, approaching acicular needle-like or even fibrous habit. Along the border, aegirine appears almost globular: completely anhedral, ameboid masses of elongated columns. Calcite (carbonatite) sometimes appears contained within. The carbonatite intrusion contains minute prisms of (presumably) pyroxene, likely aegirine.

Montage.webp


The magmatic appearance of cabonatite in this sample may be contrasted with the previous example of transition rocks; there, the dark colored material has magmatic texture while the carbonatite possesses medium-to fine grained equigranular habit, and so appears to have previously been emplaced. In this sample, the carbonatite is clearly magmatic.
 
  • Agree
Likes   Reactions: Bystander
  • #141
Chilled carbonatite magmatic boundary adjacent to fenitized gneiss (country rock), Fen complex.

DSC_0952.webp


“Fenitiztion” is specifically defined as the alkali metasomatism of the silicate country rock (e.g., gneiss) surrounding a carbonatite intrusion, characterized by the gain of alkalis and loss of silica.

Montage.webp


Montage6.webp


Again, the porphyritic appearance of carbonatite in this sample should be contrasted with the medium-to-fine grained (phaneritic) appearance in other thin section samples.

DSC_2017.webp


DSC_2018.webp


Present in the magmatic phase are phenocrysts of biotite and apatite along with finely dispersed opaques, all within a carbonatite groundmass. Compared to other fenites, this sample has a relatively high volume fraction of anhedral quartz, and unlike most of the previous fenite examples, the quartz possesess undulose extinction.

Montage2.webp


Montage3.webp


Undulose extinction is evidence of significant stress after the crystal has formed, as would be the case here due to magmatic activity. Microcline/perthic texture appears infrequently, and some quartz crystals are densely packed with inclusions (of unknown composition). Myrmekite (a wormy intergrowth of quartz and feldspar) appears in places as well.

Montage4.webp


Montage5.webp


DSC_2026.webp
 
  • Agree
Likes   Reactions: Bystander
  • #142
Fenite, Fen complex:

Fen 290.webp


Dark and light green pyroxenes, albitized gneiss, 2 prominent carbonatite veins. Carbonatite also occurs dispersed throughout. Beginning from the side with the 2 veins, the veins are separated by albitized K-feldspar, anhedral apatite, and large poikilitic grains of dark green pyroxene (possibly aegirine):

Montage.webp


Next are approximate bands of poikilitic green pyroxene and albitized K-feldspar:

Montage2.webp


after which is a mixture of pyroxene, apatite, and perthic K-feldspar.

Montage3.webp


A variety of opaques: octahedral crystals of magnetite (dark grey), microscopic aggregates of a highly scattering mineral (possibly a titanium oxide), and mustard-yellow sulfide, possibly chalcopyrite due to the habit (massive).
Montage5.webp


In this field of view:
DSC_2063.webp


DSC_2064.webp

Some dark-green/black amphibole, likely riebeckite, subhedral apatite, aegirine along the bottom, albitized K-feldspar bottom right corner, calcite/dolomite, upper center is fine-grained chessboard albite and sercitized K-feldspar.

Pyroxenes are anhedral and poikiloblastic texture, the composition of some inclusions are (likely) calcite/dolomite and possibly quartz, the inclusions are anhedral rather than the usual poikilitic texture with euhedral inclusions.

Montage7.webp


One of the larger anhedral calcite inclusions itself contains smaller inclusions:

Montage4.webp


Montage6.webp


#thinsectionthursday
 
  • #143
Carbonatized dolerite (diabase), Fen Complex.

Fen 1.webp


According to the relevant paper, this sample was taken from the Hydro quarry. The paper assesses the age of this sample as 255 Ma, according to K-Ar whole-rock dating, and interprets this age as related to the larger Permian magmatism in the Oslo Graben:

“The Permian magmatism in the Oslo Graben was associated with a continental magmatic rift system that developed during the Late Carboniferous and Permian periods. This extensive activity resulted in large volumes of both extrusive and intrusive alkaline igneous rocks. The Oslo Graben represents a classic example of a failed continental rift, part of a larger system extending through the North Sea into northern Germany. The magmatism was caused by the passive necking and thinning of the lithosphere in an extensional tectonic setting, rather than a mantle plume."

"The magmatism produced a diverse suite of alkaline rocks, spanning from mafic to silicic compositions. The most prominent and voluminous lava type is a latite/trachyandesite, traditionally named "rhomb porphyry" due to its distinctive rhomb-shaped feldspar phenocrysts."

I have about a dozen samples of rhomb porphyry and will get around to posting those at some point....

In this sample, there are large phenocrysts of phlogopite, sericitized K-feldspar, opaques and a carbonatite vein set within what appears to be a groundmass of microscopic biotite flakes.

Montage2.webp


Montage.webp


The feldspar is typically altered into either calcio- or magnesio-carbonate, chlorite, and either sericite or aphanitic aggregations of phlogopite.

Montage3.webp


Montage4.webp

Where there were phenocrysts of pyroxene there are now assemblages of brown amphibole, brown chlorite, and calcite.
Montage6.webp


Montage5.webp


One of the phlogopite crystals shows kink banding:

Montage8.webp

Opaques include pyrite, magnetite, leucoxene (white cryptocrystalline) and ilmenite (dark grey). The appearance of tightly intermingled dark (likely ilmenite) and light (likely leucoxene) resemble immiscible fluids in some places.

DSC_5236.webp


Untitled.webp
 
  • #144
Chilled margin of carbonatite magma and country rock (telemark gneiss).

Fen 265.webp


Interestingly (to me, anyways), the gneiss is anhedral, and it’s easy to imagine that the magma permitted relaxation of grain boundaries through annealing.

Montage.webp


Montage2.webp


Montage3.webp


Carbonatite magma has physical properties very different from silicic magmas (the “usual” kind, like hawaii’s volcanos etc.). For example, carbonatite magma has a viscosity only slightly higher than water (3 cP), while high-silica magmas are closer to peanut butter (10^11 cP or so). Carbonatite magma is also much cooler that high-silica magmas (500 C compared to 1000 C). All this is to say that I wouldn’t expect the carbonatite to melt or otherwise shear deform the gneiss, unlike sample Fen 6 N-8D where the magmatic intrusion partially melted the pre-existing carbonatite and sample Fen 20 that shows clear evidence of shear flow.

The gneiss does not appear to be fenitized (for example, the biotite is unaltered), and so this carbonatite intrusion happened after the ijolitic intrusion. Quartz (clear), K-feldspar (dusty) and microcline/perthite are present and plagioclase is absent, thus the country rock would be classified as a 'syenogranite' on the QAPF diagram.

In places, the microcline grain is dusty in one set of twins but not the other.

Montage5.webp


Stilpnomelane (a marker for Fenitization-2) is present, indicating the carbonatite intrusion is associated with the Group 2 Contact Metasomatism event, and so the carbonatite is dolomite (magnesio-carbonatite).

Montage7.webp


Chlorite (I think) appears both in the gneiss and in the carbonatite.

Montage6.webp


Montage4.webp


The carbonatite is largely (>80%) dolomite, with dispersed phenocrysts of what largely appear to be chlorite (nepheline?) and opaques, with minor amounts of (possibly) pyroxene and green biotite (highly deformed). The dolomite consists entirely of irregular aggregates.

DSC_5422.webp


DSC_5423.webp
 
  • #145
Based on the copious iron oxides, ferro-carbonatite/Rodberg chilled margin with country rock, Fen complex:

Fen 55.webp


Gneiss is anhedral and consists of quartz, K-feldspar, and some plagioclase (monzogranite on the QAPF diagram). Phenocrysts of apatite as well as grains of unaltered ferro-carbonatite are present in the carbonatite.

Montage2.webp


Montage.webp


DSC_5425.webp


DSC_5426.webp


In the following images, crystals of (likely) ankerite in the upper right are in the process of altering into granular agglomeratons of (I think) dolomite and, slightly further away from the reaction border, rodberg, a hematite-stained granular carbonatite. Opaques are iron oxides (agglomerations of fine red dust-like particles) and titanium oxides (agglomerations of fine white dust-like particles).

DSC_5427.webp


DSC_5428.webp


DSC_5429.webp


In the following images, stilpnomelane (yellowish in both XP and reflected darkfield) has formed within feldpspar (likely K-feldspar). The two grains of feldpsar (the left grain is plagioclase) are separated by a small satellite intrusion of carbonatite branching off from the larger intrusion running along the bottom. Near the gneiss, both hematite (microscopic granular aggregations) and octahedral crystals of magnetite occur in what can best be described as a cloud of dusty octahedral metallic crystals.

DSC_5431.webp


DSC_5432.webp


The presence of stilpnomelane indicates multiple fenitization events have occurred: stilpnomelane, ferro-carbonatite, and hematite-stained granular calcite each represent a distinct metasomatic event. Rødberg formation, the most recent stage, was a groundwater-derived hydrothermal event which caused oxidation of ferrocarbonatite to hematite carbonatite (rødberg).
 
  • Agree
Likes   Reactions: Bystander
  • #146
The last chilled margin rock (for now):

Fen 289.webp


Chilled margin of (I think) silicocarbonatite intrusion and country rock, Fen complex. A large phenocryst of (altered) nepheline is within the magmatic groundmass, through which a carbonatite veinlet surrounded by a corona intrudes.

Montage.webp


Montage2.webp


Montage3.webp


The groundmass is entirely granular, with an appearance evoking both a pointillist Seurat painting in transmission and beach sand in reflection.

Montage7.webp


Montage8.webp


Montage9.webp


Smaller phenocrysts of phlogopite also occur in the groundmass, with either possible zoning or partial alteration. Next image from the adjacent country rock shows a core of plagioclase (with possible rim of albite) surrounded by microcline:

Montage5.webp


(from Notebook LM) “Plagioclase alters to microcline primarily through potassium metasomatism (K-metasomatism) in sub-solidus hydrothermal environments, typically at temperatures between 180°C and 350°C. This process involves replacing Na/Ca in plagioclase with K, often associated with fluid infiltration along microcracks and high-Si/K metamorphic or igneous, specifically granitic, conditions. Plagioclase alteration to microcline is often accompanied by the formation of myrmekite, a vermicular intergrowth of quartz and plagioclase, due to the release of silica during the substitution process. “

Image pair: a carbonatite inclusion in plagioclase, possibly a cross-section of another veinlet, surrounded by a clear zone (PP) or dark corona (XP).

Montage6.webp


Image pair: (likely) biotite altered into aegirine (radiating needles) and possibly chlorite (anomalous blue birefringence), surrounded by grains of quartz.

Montage4.webp



#thinsectionthursday
 
  • Agree
Likes   Reactions: Bystander
  • #147
There are about 30 samples that I have erroneously identified as "rhomb porphyry". These samples are not that because, while there are large sanidine phenocrysts, there are also phenocrysts of nepheline, which means the samples are phonolites. Although I have already posted images of a few of these, I'm just going to run through all of them. Although these samples are all phonolites (and most of them are a specific subtype: tinguaite), there is a surprising variability. The first 3 samples are all very similar, tho- here's the first one:

Fen 248.webp


Tinguaite. Altered phonolite (QAPF field 11), Fen complex. This porphyritic rock is classified as a phonolite due to the presence of nepheline phenocrysts, and is the variety tinguaite due to the presence of aegirine needles in the groundmass. Large phenocrysts of nepheline (now completely pseudomorphically altered) and feldspar, likely sanidine- a ternary feldspar- within a groundmass.

Montage.webp


Montage2.webp


Above, the large blocky crystal shows Baveno twinning. Sanidine is not in an equilibrium state:

“Ternary feldspar refers to a solid-solution mineral series in the feldspar group that encompasses compositions between all three end-members: albite (Na), Anorthite (Ca) and orthoclase (K), so the chemical formula is (𝐾,𝑁𝑎,𝐶𝑎)(𝐴𝑙,𝑆𝑖)4𝑂8. While common in theoretical phase diagrams, true single-phase ternary feldspars are rare at Earth's surface conditions due to a large miscibility gap, which causes them to split (exsolve) into separate Na-rich and K-rich phases as they cool. While rare, they are found in some magmatic and high-grade metamorphic rocks. They have also been identified in lunar samples. Because their composition is highly dependent on temperature, the study of ternary feldspar compositions is used as a "geothermometer" to determine the crystallization temperatures of rocks like granites, rhyolites, and trachytes.”

Trachytic groundmass consists almost entirely of subparallel sanidine. Additional minor components of the ground mass include aggregates of an anhedral fine-grained transparent mineral with low order birefringence, possibly quartz (likely product of altered groundmass nepheline) and thin (green) aegirine needles.

Montage3.webp


DSC_8347.webp


DSC_8348.webp


In places, aegirine appears as fan-like radiating needles.

DSC_8356.webp


DSC_8357.webp


Larger nepheline phenocrysts have been pseudomorphically replaced with a tan-brown sheet silicate, likely biotite (with parallel growth texture?), and where nepheline was in contact with groundmass (or veinlets), a thin rim of aggregated anhedral quartz granules.

Montage4.webp


Smaller phenocrysts of biotite also occur, largely (and surprisingly) unaltered. In one region, the groundmass crystals are much larger, giving the groundmass itself a bimodal texture.

Last image, taken in reflection mode- within a nepheline phenocryst and surrounded by (I think) biotite, 2 possible crystals of sphene (now altered into a granular titanium oxide).

DSC_8353.webp
 
  • Like
Likes   Reactions: Bystander
  • #148
Next sample:

Fen 249.webp


Tinguaite. Altered phonolite (QAPF field 11), Fen complex. This porphyritic rock is classified as a phonolite due to the nepheline phenocrysts, and as the variety tinguaite due to the presence of aegirine needles in the groundmass.

Large blocky phenocrysts of heavily altered nepheline and lightly altered sanidine within a groundmass primarily consisting of sanidine microlaths, rounded aggregates of (likely) quartz that replaced groundmass nepheline, aegirine needles, and some opaques (likely an iron oxide).

Montage2.webp


Montage.webp


DSC_7748.webp


DSC_7749.webp


Sanidine phenocrysts are lightly altered (perthic texture), nepheline phenocrysts are pseudomorphed into decussate biotite flakes with an border of aggregated anherdral quartz, the same composition and texture as sample Fen 248:

Montage5.webp


Montage3.webp


Montage4.webp


DSC_2718.webp


DSC_2719.webp
 
  • Like
Likes   Reactions: Bystander
  • #149
This is the last of the three samples with similar composition:

Fen 250.webp


Tinguaite. Altered phonolite (QAPF field 11), Fen complex. This porphyritic rock is classified as a phonolite due to the nepheline phenocrysts, and as the variety tinguaite due to the presence of aegirine needles in the groundmass.

Montage.webp


Montage2.webp


Montage3.webp

Large blocky phenocrysts of nepheline (now completely pseudomorphically altered), biotite and sanidine (dusty appearance in PP) within a groundmass primarily consisting of sanidine microlaths, rounded aggregates of (likely) quartz replacing groundmass nepheline, aegirine needles, and some opaques (small octahedral crystals (upper center) indicate magnetite:

DSC_8378.webp


Groundmass has a tractytic texture and features an intrusion with a cumulate texture (larger laths of feldspar, possibly sanidine with microperthite texture in places):

Montage4.webp


Within the intrusion, aegirine appears as sheaves rather than individual needles, pleochroism can be clearly seen in PP.

DSC_8384.webp


DSC_8385.webp

Nepheline alteration is the same as Fen 248 and Fen 249: decussate biotite flakes with an border of aggregated anherdral quartz.

Montage5.webp


Montage6.webp
 
  • Agree
Likes   Reactions: Bystander
  • #150
Fen 251.webp


Tinguaite. Altered phonolite (QAPF field 11), Fen complex. Tinguaite does not occur within the Fen Complex itself but rather as a diffuse ring of dikes and spatters, about 5 km in radius:

Montage.webp


Samples should therefore be expected to display some compositional variation. It’s not clear if the sequential numbering has any significance with regards to location or is purely accidental.

Phenocrysts of sanidine (with characteristic twinning, some with patchy perthic texture), nepheline (rectangular or hexagonal blocky habit), and biotite within a groundmass of dense trachytic aegirine needles and K-feldspar.

Montage3.webp


Montage5.webp


Montage4.webp


Sample does not contain any quartz or plagioclase. Of the 200 samples I have from Fen Complex, I believe this is the only one with unaltered nepheline.

Some phenocrysts have been completely altered into various secondary minerals, unclear what the primary mineral was.

Montage2.webp

(lower left is curved edge of sample)

Within one altered phenocryst:

Montage6.webp


a hexagonal crystal of nepheline and ‘groundmass’ of (possibly) K-feldspar. Melanocratic brown mineral is unknown, Purple mineral (isotropic in XP) is either fluorite or Haüyne- a tectosilicate sulfate feldspathoid mineral in the sodalite group.

Another altered phenocryst:

Montage7.webp

Brown grain with opaque center could be iddingsite (alteration product of olivine)...? Larger grain has been replaced by (I think) something in the biotite group.

Core of another altered phenocryst, surrounded by massed aegirine needles:

DSC_0737.webp


DSC_0738.webp

Near center, 2 nepheline crystals (hexagonal and rectangular) and some opaques within a low-index, low-birefringence (possibly isotropic analcime or glassy) matrix. Prominent low 2nd-order birefringent crystals are likely aegirine, but could also be epidote. In epi-darkfield (not shown here), aegirine crystals are bright green or clear in high contrast against the background.
 
  • Like
Likes   Reactions: Bystander